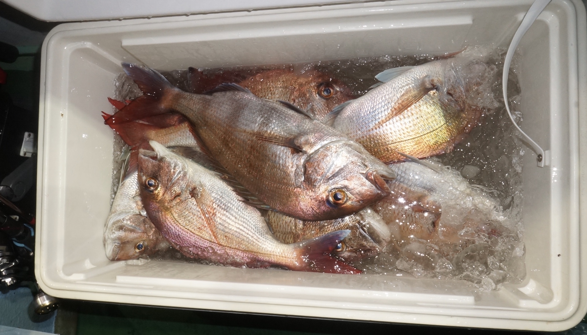
2020年8月1日岩船沖夜アジ真鯛五目釣り釣果 つり情報 2020年08月02日 本日海上穏やか流れ魚影良く、サバ少なく、大型アジ入れ食い大漁しました 真鯛も食い活発、昨日以上に、多数匹大漁しました。 真鯛、アジ有望御予約お待ちしております。
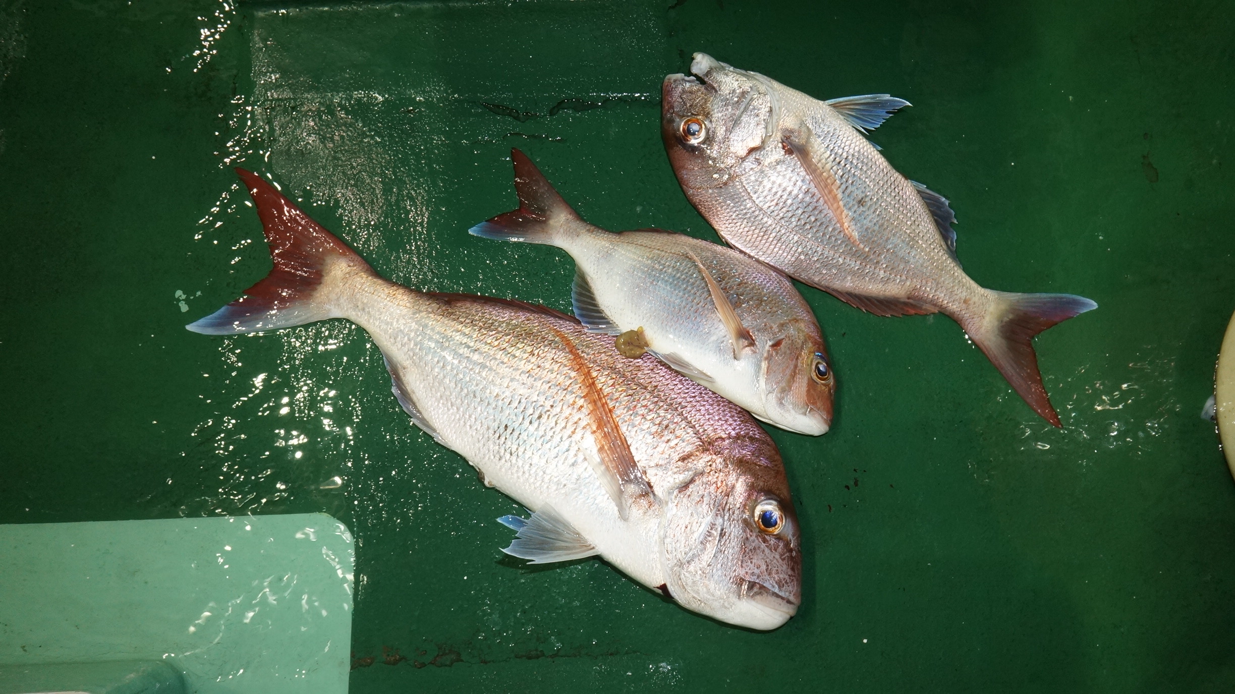
2020年7月31日岩船沖夜アジ真鯛五目釣り釣果 つり情報 2020年08月01日 海上穏やかで、天候晴れ、上潮の流れ早かっが、大型アジ入れ食い、真鯛1.8〜5.8k、真鯛竿頭8匹 真鯛多数匹大漁しました。 1日.2日空席多数有り、真鯛、アジ有望、御予約お待ちしております。
2020年7月25日岩船沖夜アジ真鯛五目釣り釣果 つり情報 2020年07月26日 本日海上穏やかで、流れ良く、大型アジ、サバ入れ食い爆釣大漁しました、 真鯛も大型多数匹、お一人様12匹、他多数サビキにも アジ真鯛有望、御予約お待ちしております。